SnapRealty.ca
Back
ID: 26517
MLS ID: 24307415
MLS Nubmer: 193847
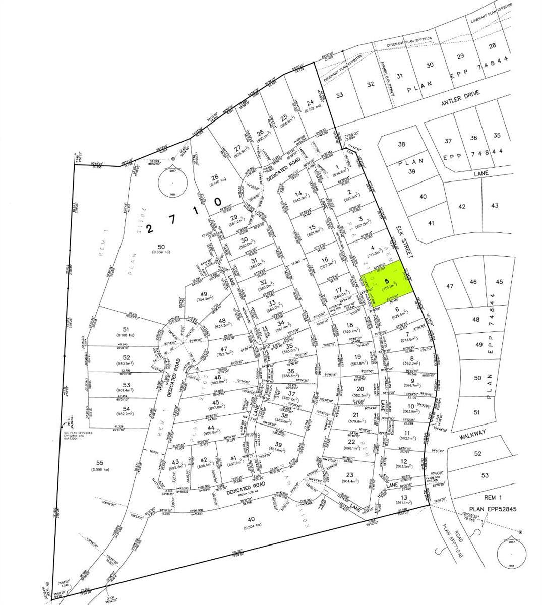
description: Contingent. The RIDGE PHASE II in Penticton is a beautiful, newer, upscale community just a few minutes from town. Do you have a dream home in mind? This lot is impressive, 0.177 acre / 7740 sf; it's perfect for a Rancher with a walk-out basement and has stunning views of the City of Penticton, Skaha Lake and surrounding mountains. The Ridge is a desirable development, full of new homes with natural borders, parks and trails. Contingent to entering into a building contract with Lake City ConstructionLtd., master craftsmen who are local and have been building homes in the South Okanagan for many years.
address: 1099 ELK Street
postal code: V2A0C9
city: Penticton
latitude: 49.48847500
longitude: -119.54433500
type: No Building
sub_type: Vacant Land
size_total: 0.178 ac|under 1 acre
view_type: Lake view, Mountain view
community_features: Quiet Area
amenities_near_by: Recreation, Shopping, Schools
utility_type: Electricity (At Lot Line)