SnapRealty.ca
Back
ID: 24889
MLS ID: 24295795
MLS Nubmer: 900495
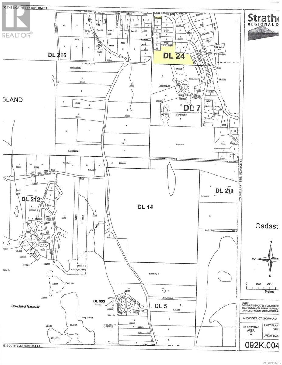
description: Heriot Bay acreage! This 11.29 acre property has preliminary approval in place for a 3 lot subdivision. There is access to this property off West Road and Schooner Road, near the heart of Heriot Bay. This property has a mixed topography with some bluff area, some wetland area and is mostly treed with a nice mix of mature trees. Included in this sale is a 0.29 acre leased lot that is zoned Public Assembly, currently leased to the South Quadra Fire Protection District, situated on the corner of West Rd and Schooner Rd. This property has a lot of potential and is located in a very desirable area of Quadra Island, within walking distance from shops & services in Heriot Bay and the ferry to Cortes Island. Quadra Island – it’s not just a location, it’s a lifestyle…are you ready for Island Time?
address: DL24 Schooner Rd
postal code: V0P1H0
city: Quadra Island
latitude: 50.09717944
longitude: -125.20768065
sub_type: Vacant Land
size_total: 11.29 ac
features: Acreage, Central location, Park setting, Private setting, Wooded area, Irregular lot size, Other, Marine Oriented